Перевести карту для мапинфо в систему координат МСК66

MapInfo, MapBasic
Ответить
Gan
Новоприбывший
Сообщения: 1
Зарегистрирован: 24 янв 2012, 11:37
Репутация: 0
Откуда: г. Екатеринбург
Контактная информация:

Перевести карту для мапинфо в систему координат МСК66

Сообщение Gan » 25 янв 2012, 14:15

г. Екатеринбург. Имеются файлы растров масштаба 1:500 (250 на 250 м в реальности, 50 на 50 на бумаге, 200-300 dpi, ), система координат местная "план-схема", (имеются параметры перехода с точностью до 0,02 м через аффинное преобразование в СК 63).
С 01.01.2012 в связи с переходом Росреестра в единую систему координат МСК 66 (для свердловской области), возникла необходимость корректно перевести растры в новую систему координат. Простой пересчет 4-х угловых точек не дает перевод растра, т.к. от исходно появился поворот, смещение и масштабирование.
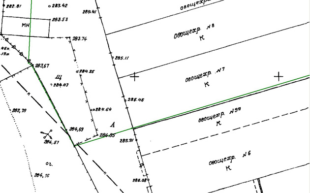
вот пример - соотношение границ участка и растра до пересчета:
до перевода.jpg
до перевода.jpg (94.51 КБ) 21268 просмотров
тоже самое после пересчета:
после перевода.jpg
после перевода.jpg (77.53 КБ) 21268 просмотров
Рыл носом интернет, тока толку кроме соплей не нашел. Одни говорят надо растр трансформировать. Программ куча. Толкового ничего не нашел, т.к. надо обработать ооочень много файлов (порядка 5 тысяч). Другие говорят, необходимо пересчитать угловые точки, а потом их переопределить уже в новой системе, потому как они раньше были угловыми, а сейчас не являются таковыми (по крайней мере я так понял :)))).
Подскажите что делать :( уже неделю бьюсь.
Работаю в АрмКин (Geocad 5.0) и Mapinfo.

Аватара пользователя
dab
Гуру
Сообщения: 671
Зарегистрирован: 16 дек 2011, 20:02
Репутация: 170
Ваше звание: Гуру
Откуда: Москва
Контактная информация:

Re: Перевести карту для мапинфо из плансхемы в систему коорд

Сообщение dab » 25 янв 2012, 14:34

Аналогичную задачу решал следующей последовательностью действий:
1. Группы растровых файлов с привязкой в план-схеме преобразовывал в проекцию МСК используя утилиту TransCoor http://mapbasic.ru/transcoor. Растры остаются неизменными, а TAB файлы создаются новые, в МСК;
2. Импортировал растры в Панораму с использованием файлов привязки MapInfo (TAB в МСК). Панорама при импорте преобразовывает растры по методу наименьших квадратов;
3. В Панораме загружал все преобразованные растры, потом делал математическую основу в новой МСК и по рамкам новых номенклатурных листов экспортировал растры листами из Панорамы в формат MapInfo.

Донецков
Гуру
Сообщения: 3058
Зарегистрирован: 19 май 2010, 19:44
Репутация: 189

Re: Перевести карту для мапинфо из плансхемы в систему коорд

Сообщение Донецков » 25 янв 2012, 16:52

Как вариант - в файле prj прописываете параметры для МСК и для МСК-66 (она явно на базе СК-63). В файлах привязки TAB меняете "план-схема" на параметры прописанной в PRJ вашей МСК, далее можно изменить парметры системы координат карты на МСК-66 и работать фактически с неизмененными данными, но уже в МСК-66...

gamm
Гуру
Сообщения: 4184
Зарегистрирован: 15 окт 2010, 08:33
Репутация: -445565593
Ваше звание: программист
Откуда: Казань

Re: Перевести карту для мапинфо из плансхемы в систему коорд

Сообщение gamm » 25 янв 2012, 18:36

Gan писал(а): С 01.01.2012 в связи с переходом Росреестра в единую систему координат МСК 66 (для свердловской области), возникла необходимость корректно перевести растры в новую систему координат.
попробуйте определить параметры обоих проекций (МСК 66, СК 63) для своей территории в терминах PROJ4, здесь уже неоднократно такие процедуры описывались. После чего сделайте расчет композиции из своих аффинных и перехода СК 63 => МСК 66 на густой сетке (получите координаты пикселей в МСК 66), и трансформируйте свои растры. Мы в Сканексе это делаем, наверняка можно GDAL приспособить, или вообще самим запрограммировать "ближайшего соседа"

Boris
Гуру
Сообщения: 4233
Зарегистрирован: 10 апр 2006, 22:34
Репутация: -344969097
Откуда: Париж

Re: Перевести карту для мапинфо в систему координат МСК66

Сообщение Boris » 06 фев 2012, 03:55

СК 63 => МСК 66 - должен быть линеен, а два аффинных преобразования дают одно аффинное преобразование. На мой взгляд можно обойтись и без сетки.
Другое дело, что тогда пересчет 4-х точек из файла привязки должен дать ту же точность, что и аффинное преобразование. Отсюда имеем вопрос - что именно изображают векторные контура?
Может какие-то проблемы в настройках Мапинфо?

Аватара пользователя
dab
Гуру
Сообщения: 671
Зарегистрирован: 16 дек 2011, 20:02
Репутация: 170
Ваше звание: Гуру
Откуда: Москва
Контактная информация:

Re: Перевести карту для мапинфо в систему координат МСК66

Сообщение dab » 09 фев 2012, 09:55

Я общался с Gan по теме топика. Проблема в параметрах бывшей МСК г. Екатеринбурга, т.е. нужны осевой меридиан, северное и восточное смещения, параметры МСК в которой сделаны планшеты. У меня не получилось подобрать осевой меридиан.
Прошу помощи в личку :-)

Донецков
Гуру
Сообщения: 3058
Зарегистрирован: 19 май 2010, 19:44
Репутация: 189

Re: Перевести карту для мапинфо в систему координат МСК66

Сообщение Донецков » 04 авг 2012, 15:01

Параметры МСК Екатеринбурга были в prj Кадастрового офиса...
А вообще, интересная тема, как подбирать параметры МСК для MapInfo, если известно, что МСК создано с афинным преобразованием, т.е. нужно найти не только ЦМ и смещения, но и масштабные K и угол поворота....
Записать это в MI можно, например:
"xxxxx Affine (Пулково 1942)", 3008, 1001, 7, хх.хх, х.х, 1, ххххххх, 1, 7, 0.9999960304, 0.0077980643,
-1541421.56859, -0.0077980643, 0.9999960304, -6238537.78326, -150000, -150000, 150000, 150000
но вот найти (подобрать) подобное проблема?

SergS
Активный участник
Сообщения: 120
Зарегистрирован: 14 апр 2011, 13:24
Репутация: 5
Откуда: Екатеринбург

Re: Перевести карту для мапинфо в систему координат МСК66

Сообщение SergS » 06 авг 2012, 05:20

dab писал(а):Прошу помощи в личку
в личку Вам, или в личку Gan? :)
а если Вам - для коллекции?

Аватара пользователя
dab
Гуру
Сообщения: 671
Зарегистрирован: 16 дек 2011, 20:02
Репутация: 170
Ваше звание: Гуру
Откуда: Москва
Контактная информация:

Re: Перевести карту для мапинфо в систему координат МСК66

Сообщение dab » 06 авг 2012, 06:26

SergS писал(а):
dab писал(а):Прошу помощи в личку
в личку Вам, или в личку Gan? :)
а если Вам - для коллекции?
В личку мне, пожалуйста, для общего развития и для коллекции :)

Ответить

Вернуться в «MapInfo»

Кто сейчас на конференции

Сейчас этот форум просматривают: нет зарегистрированных пользователей и 14 гостей