Moznet или Мозамбик в России
- 
				glkhramov
- Участник
- Сообщения: 87
- Зарегистрирован: 26 июл 2013, 17:15
- Репутация: 1
Moznet или Мозамбик в России
На официальном сайте одного из министерств выложены векторные данные. Отрисованы неплохо, но при наложении на снимок выявляется непонятное мерзкое смещение примерно на 100 м на восток. Проекция moznet geographic EPSG 4130. Может кто-нибудь знает в чем хитрость и есть-ли тривиальный способ как-то привести их к нормальному виду?
			
			
									
						
										
						- 
				tikhpetr
- Гуру
- Сообщения: 1172
- Зарегистрирован: 30 окт 2014, 16:33
- Репутация: -161075145
- Откуда: г. Жуковский МО
Re: Moznet или Мозамбик в России
А снимок-то в чем, смысле СК? М.б., выложите вектор?
			
			
									
						
										
						- 
				glkhramov
- Участник
- Сообщения: 87
- Зарегистрирован: 26 июл 2013, 17:15
- Репутация: 1
Re: Moznet или Мозамбик в России
А снимок? ну просто подключаемый гугловский снимок, там веб-меркатор наверное или как его там. Рядом векторы OSM, они в WGS 84. А вот хитрые https://yadi.sk/d/qMR31Ja1Ayx_hw
			
			
									
						
										
						- 
				gamm
- Гуру
- Сообщения: 4177
- Зарегистрирован: 15 окт 2010, 08:33
- Репутация: 1107
- Ваше звание: программист
- Откуда: Казань
- 
				freeExec
- Гуру
- Сообщения: 1195
- Зарегистрирован: 23 апр 2011, 10:32
- Репутация: 205
- Откуда: Ульяновск
Re: Moznet или Мозамбик в России
Да и судить о точности по гуглу, а не по опорным наземным точкам - это странно.
			
			
									
						
										
						- Игорь Белов
- Гуру
- Сообщения: 2241
- Зарегистрирован: 04 янв 2011, 22:00
- Репутация: 1514
- Откуда: Казань
Re: Moznet или Мозамбик в России
Там датум не #154 "WGS 84", а неопределённый датум #0. Нужно явно задать датум #1001 "Pulkovo 1942", чтобы несколько выправить ситуацию.gamm писал(а): ↑05 сен 2019, 10:08В выложенной карте проекция градусы на WGS84
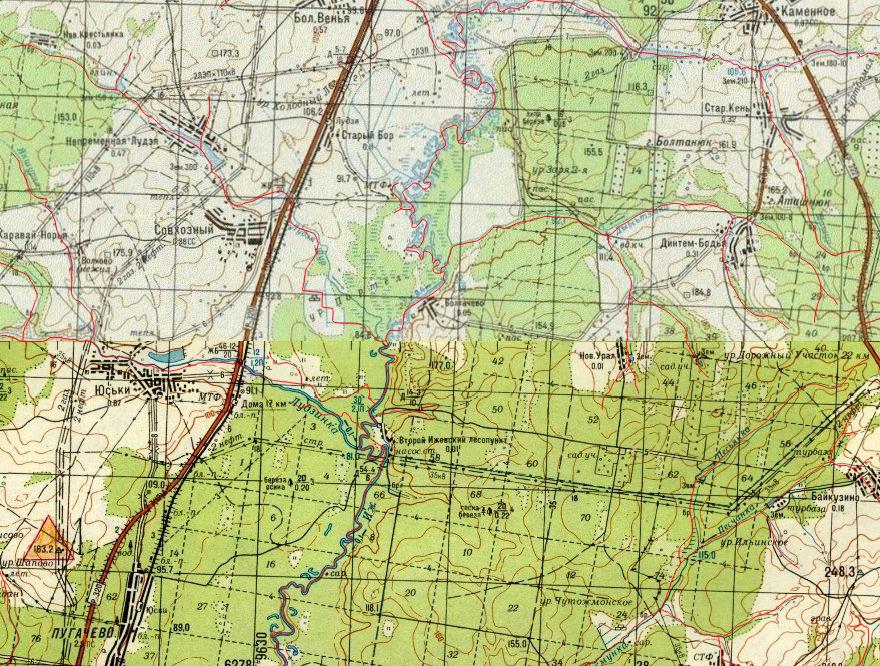
В данном случае гугл точнее векторов, которые, похоже, сняты с мелкомасштабных карт. Так ложатся поправленные векторы на marshruty.ru : На следующем зуме 25-тысячные листы ГосГисЦентра, с которыми гугл неплохо бьётся:freeExec писал(а): ↑05 сен 2019, 10:20судить о точности по гуглу, а не по опорным наземным точкам - это странно
- Вложения
- 
			
		
				- pic201909051055.jpg (86.74 КБ) 14478 просмотров
 
The purpose of computing is insight, not numbers
			
						- 
				glkhramov
- Участник
- Сообщения: 87
- Зарегистрирован: 26 июл 2013, 17:15
- Репутация: 1
Re: Moznet или Мозамбик в России
Про проекцию я взял из свойств слоя, если его открыть в QGIS, он ведь как-то определяет. По поводу точности это да, но на участок чуть южнее есть снимки заказанные в Сканексе и они фактически совпадают с гуглом, ну может 10 м, но не 100. А что за такие волшебные карты?! Ведь они же привязанные, раз вы наложили векторы, и в какой-то проекции
			
			
									
						
										
						- 
				tikhpetr
- Гуру
- Сообщения: 1172
- Зарегистрирован: 30 окт 2014, 16:33
- Репутация: -161075145
- Откуда: г. Жуковский МО
Re: Moznet или Мозамбик в России
А как получилось, что Удмуртия привязана в СК Мозамбика?  Скачал речную сеть, перепроецировал в СК-42(2008) на снимки ESRI все пристойно ложится.
А, собственно, где данные, к-рые отлетают?
 Скачал речную сеть, перепроецировал в СК-42(2008) на снимки ESRI все пристойно ложится.
А, собственно, где данные, к-рые отлетают?
			
			
									
						
										
						 Скачал речную сеть, перепроецировал в СК-42(2008) на снимки ESRI все пристойно ложится.
А, собственно, где данные, к-рые отлетают?
 Скачал речную сеть, перепроецировал в СК-42(2008) на снимки ESRI все пристойно ложится.
А, собственно, где данные, к-рые отлетают?- Игорь Белов
- Гуру
- Сообщения: 2241
- Зарегистрирован: 04 янв 2011, 22:00
- Репутация: 1514
- Откуда: Казань
Re: Moznet или Мозамбик в России
Некто в программе MapInfo создал слой, не задав его систему координат. Получилась "Долгота / Широта" без датума. Такой бездумный подход и в самом MapInfo чреват неожиданностями, что уж говорить об интерпретации этой прелести при импорте иными программами. QGIS вот почему-то считает, что это Moznet. Кстати, с точки зрения картографа этот самый Moznet практически совпадает с WGS 84.glkhramov писал(а): ↑05 сен 2019, 11:13Про проекцию я взял из свойств слоя, если его открыть в QGIS, он ведь как-то определяет
Просто открыл в QGIS тайловый сервис marshruty.ru, для чего использовал замечательный плагин QuickMapServices.glkhramov писал(а): ↑05 сен 2019, 11:13А что за такие волшебные карты?! Ведь они же привязанные, раз вы наложили векторы, и в какой-то проекции
The purpose of computing is insight, not numbers
			
						- 
				tikhpetr
- Гуру
- Сообщения: 1172
- Зарегистрирован: 30 окт 2014, 16:33
- Репутация: -161075145
- Откуда: г. Жуковский МО
Re: Moznet или Мозамбик в России
Да, действительно. GM открыл данные сразу как WGS 84.Игорь Белов писал(а): ↑05 сен 2019, 18:56Кстати, с точки зрения картографа этот самый Moznet практически совпадает с WGS 84.
Только я так и не понял, отлеты-то где?
- 
				glkhramov
- Участник
- Сообщения: 87
- Зарегистрирован: 26 июл 2013, 17:15
- Репутация: 1
Кто сейчас на конференции
Сейчас этот форум просматривают: Bing [Bot] и 3 гостя
